MercoPress, en Español

Montevideo, November 19th 2025 - 05:06 UTC

 

 

Hurricane Melissa leaves at least 7 dead

Tuesday, October 28th 2025 - 20:17 UTC
Full article
“This is not the time to be brave. ...Don't bet against Melissa! It is a bet we can't win,” McKenzie insisted “This is not the time to be brave. ...Don't bet against Melissa! It is a bet we can't win,” McKenzie insisted

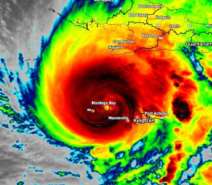
Hurricane Melissa, a catastrophic Category 5 storm, is battering Jamaica's south coast today, bringing torrential rains and devastating winds as officials warn the powerful system could destroy the nation’s infrastructure.

With maximum sustained winds of 290 km/h (180 mph), Melissa is the strongest storm ever to threaten the island, according to the U.S. National Hurricane Center (NHC). It was last reported to be only about 50 miles south-southeast of Negril.

Jamaican Prime Minister Andrew Holness issued a stark warning on Monday regarding the storm's potential for destruction. “I don't believe there is any infrastructure in this region that can withstand a Category 5 hurricane,” Holness stated. The World Meteorological Organization's Anne-Claire Fontan called Melissa “the storm of the century so far” for Jamaica.

The worsening weather conditions across the Caribbean have already claimed seven lives: three in Jamaica, three in Haiti, and one in the Dominican Republic.

The NHC is warning that storm surges and torrential rains are likely to cause potentially fatal flooding and numerous landslides. The hurricane is moving slowly, a factor that the Red Cross noted was increasing anxiety and the risk of catastrophe due to prolonged exposure to heavy rainfall, which could reach up to a meter in some areas.

Despite the extreme danger, authorities are struggling with widespread refusal of evacuation orders. Local Government Minister Desmond McKenzie reported late Monday that many of the island's approximately 880 shelters were still empty.

By Tuesday morning, however, the number of evacuees had climbed to almost 6,000, according to Minister McKenzie, who was speaking as the storm lashed the coast. He reported that authorities were receiving calls for transportation to shelters in areas like St Elizabeth, the parish where Melissa is expected to make landfall before tracking northeast across the island.

“This is not the time to be brave. ...Don't bet against Melissa! It is a bet we can't win,” McKenzie insisted. The government estimates that over 50,000 people may be displaced by the storm's impact.

While urging people to move to high ground, officials faced resistance. Plumber Roy Brown told AFP he would not move, citing bad experiences in government shelters during past storms. “I don't think I can escape death,” he stated.

After hitting Jamaica, Melissa is forecast to reach the eastern tip of Cuba later Tuesday. The National Defense Council has declared a “state of alert” across six eastern provinces, mobilizing the evacuation of approximately 650,000 people. Schools and nonessential work have been suspended as residents secure their homes.

Scientists are linking the storm's severity to human-induced climate change. Meteorologist Kerry Emanuel explained that global warming is increasing the frequency of storms that rapidly intensify, like Melissa, and are capable of producing extreme rainfall. “Water kills far more people than wind,” he explained.

Amid the storm, officials are planning for the immediate aftermath. Transport Minister Daryl Vaz reported that assessment efforts are underway to reopen Norman Manley International Airport in Kingston as early as Thursday, October 30, to receive emergency relief supplies.

While the situation at Sangster International Airport in Montego Bay remains uncertain due to the potential for severe damage from the storm (expected to pass there as a Category 3), Vaz noted that the smaller Ian Fleming International Airport was being considered as a contingency option for certain types of aircraft.

Minister McKenzie reported that road blockages and land slippages are already occurring across the country as Melissa batters the island.

Categories: Politics, International.

Top Comments

Disclaimer & comment rules

Commenting for this story is now closed.
If you have a Facebook account, become a fan and comment on our Facebook Page!